No Image
No Image
No Image
No Image
No Image
No Image
No Image
No Image
Featured

Jamaluang Kota Tinggi Johor

For Sale
2. 046 Ekar Tanah Pertanian 22 hours ago
RM 99,999
Land Area
89124 Square Feet

Details

Cost Per Unit
RM 1
Available Date
15 Mar 2026
Posted Date
15 Mar 2026
Land Tenure
Leasehold
Property Type
Agricultural Land
Status
Bumi Reserve
Property Title
Individual Title
Occupancy
Vacant

Amenities

Original Condition

Description

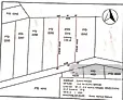
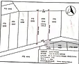
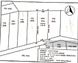
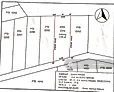
TANAH UNTUK DIJUAL JAMALUANG – KOTA TINGGI, JOHOR Tanah pertanian untuk dijual di kawasan Batu 22, Jalan Kota Tinggi – Jemaluang, dalam Mukim Hulu Sungai Sedili Besar, Daerah Kota Tinggi, Johor. Lokasi berada di kawasan kebun2 yang sesuai untuk aktiviti pertanian atau pelaburan jangka panjang. Location map: https://maps.app.goo.gl/eEiJxWLGQURhKkiw7?g_st=iwb Maklumat Tanah Negeri: Johor Daerah: Kota Tinggi Mukim: Hulu Sungai Sedili Besar Kategori Kegunaan Tanah: Pertanian Keluasan Tanah: 0.828 Hektar (±2.046 Ekar) Pegangan: Pajakan 99 Tahun Tempoh Pajakan: Sehingga 4 Mei 2113 Cukai Tanah Tahunan: RM35 Status Tanah: • Tanah Kurnia • Rezab Melayu Maklumat ini adalah berdasarkan dokumen hakmilik sementara yang didaftarkan di Pejabat Tanah Kota Tinggi.  Kelebihan Lokasi Terletak di Batu 22 Jalan Kota Tinggi – Jemaluang Akses melalui jalan utama Kawasan sesuai untuk tanaman atau projek agro Persekitaran kampung yang tenang dan berpotensi untuk pelaburan jangka panjang Harga Jualan RM100,000 untuk keseluruhan tanah (±2.046 ekar)

Mohd Safuan
Reg No: Ren38280
{{ maskPhone(list?.agent?.phone ?? list?.author?.mobile) }}
Add to Favorites